Bilim insanları dünyanın en eski fosilini buldu. Avustralya’da bulunan 3.4 milyar yıllık mikroskobik boyuttaki fosiller, hücre ve bakterilerin milyarlarca yıl önceki oksijensiz ortamlarda bile hayatta kalabildiklerini kanıtladı.
Elde edilen bulgular, dünyadaki ilk yaşamın enerji için oksijene değil, sülfüre dayalı olduğunu gösterdi. Böylece, oksijen seviyesinin düşük olduğu yada hiç bulunmadığı gezegenlerde de yaşam olabileceğine dair güçlü bir delil elde edildi.
İngiltere’deki Oxford Üniversitesi akademisyeni Martin Brasier, “Benzer yaşam izinin oksijen yoğunluğunun az olduğu Mars’ta da olabileceğini düşünmek mantıklı” ifadesini kullandı.
DÜNYA’NIN GEÇMİŞİNE IŞIK TUTACAK MİKRO FOSİL / FOTO GALERİ
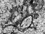
Brasier’in da yer aldığı ekibin incelediği ve çok iyi korunmuş haldeki mikro fosiller, Avustralya’nın batısındaki Strelley Pool bölgesinde bulundu.
Brasier, çok net hücre yapısı içeren fosillerin bulunduğu bölgenin Dünya’daki en eski kıyı bölgelerinden birinde keşfedildiğine dikkat çekti. Mikro fosiller, bilinen en eski tortul kayalara sahip bölgedeki kuvars kum tanelerinde tespit edildi.
ALMAN JEOLOG: HEPİMİZ MARS’TAN GELMİŞ OLABİLİRİZ / ARŞİV
Braiser, “İncelediğimiz kayalar 10 milyarlarca yıl bile eski olabilir. Kısaca mikro fosillerin 3.4 milyar yıl öncesine uzandığını söylemek oldukça doğru bir yaklaşım” dedi.
BİTKİ YOKTU AMA OKSİJEN VARDI
Bilim insanları, mikro fosillerin bulunduğu kayaları ve çevresini inceleyerek, 3.4 milyar yıl öncesinde Dünya’nın son derece bulutlu, sıcak ve yaşama olanak tanımayan bir yer olduğu düşüncesine vardı. Dahası, söz konusu dönemde çok sık yanardağ patlamaları yaşandığı ve meteor düştüğü tahmin ediliyor.
MARS’TA BULUNAN EN BÜYÜK YAŞAM İZİ
Brasier ve ekibi, atmosferin çok yoğun gri bulutlarla kaplı olduğunu, bu yüzden hava sıcaklığının milyarlarca yıl önce çok daha yüksek olduğunu öne sürdü. Dahası, okyanusların sıcaklığı 40-50 santigrat arasında değişiyordu.
En şaşırtıcı bulgu ise fotosentez yapacak hiçbir bitki ve yosun bulunmamasına rağmen Dünya’da oksijen bulunmasıydı. Brasier, “Böyle bir ortam bizim için mükemmel olmaktan çok uzaktı. Ancak bakteriler için çok idealdi. Hatta, yaşamın oluşması için Dünya’nın ilk zamanları uygun bir ortam sunuyordu” dedi.
Brasier ve ekibinin çalışması Pazar günü Nature Geoscience dergisinde yayımlandı. Araştırmacılar şimdi elde ettikleri bulguları Dünya’daki ilk yaşam izlerini araştıran diğer çalışmalarla karşılaştıracak.
Kaynak:
http://www.hurriyet.com.tr/planet/18551830.asp











